Bank Over Rail – Bank Street between Kitchener Avenue and Johnston Road
Location: Bank Street (Kitchener Avenue to Johnston Road), including the Bank Street Bridge and connection to the Banff‑Ledbury neighbourhood Project Type: Active Transportation Infrastructure – Pedestrian & Cycling Improvements (Transportation Master Plan...
Dearborn Private & Lester Road Intersection Modification
Location: Dearborn Private & Lester Road Intersection Project Type: Intersection Modification – 99% Detailed Design (Safety & Operations Improvements) Developer/Lead Agency: City of Ottawa (Transportation Planning & Design) Project Overview The City of...
Conroy and Davidson Road Roundabout
Location: Conroy Road & Davidson Road Intersection (approx. 300 m north/south of Conroy; 400 m east/west along Davidson) Project Type: Intersection Realignment & Traffic Control Upgrade (EA Schedule C) Developer/Lead Agency: City of Ottawa (Design Consultant:...
Tapiola Neighbourhood Traffic Calming Project
Location: Tapiola Crescent (from Johnston Road East to Johnston Road West) Project Type: Neighbourhood Traffic Calming Study Developer/Lead Agency: City of Ottawa Project Overview The City of Ottawa completed a traffic calming study along Tapiola Crescent in response...
Hunt Club Transit & Active Transportation Improvements
Location: Hunt Club Road (from just before the Airport Parkway off‑ramp to just before the Transitway overpass; possible extension to Bridle Path under review) Project Type: Transit & Active Transportation Infrastructure Improvements Developer/Lead Agency: City of...
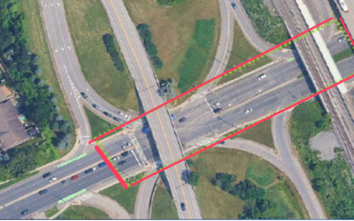
Hunt Club and Bank Intersection Redesign
Location: Hunt Club Road at Bank Street Intersection Project Type: Transportation Infrastructure – Intersection Upgrade Developer/Lead Agency: City of Ottawa – Infrastructure and Water Services Department Project Overview This project will deliver a major redesign of...
Completed – Airport Parkway Overpass Renewal
Location: Airport Parkway Overpass at Hunt Club Road Project Type: Transportation Infrastructure – Bridge Renewal Developer/Lead Agency: City of Ottawa – Transportation Services Project Overview This project involved the full rehabilitation of the Airport Parkway...
Completed – Resurfacing: Bank St, Hunt Club Rd, Johnston Rd.
Location: Bank Street (Johnston to Albion), Hunt Club Road (Mac Street to Bridal Path), and Johnston Road (Bank Street to Greenboro Station) Project Type: Transportation Infrastructure – Road Resurfacing Developer/Lead Agency: City of Ottawa – Transportation Services...








